I used to grab the prettiest pot, fill it with soil, and hope for the best. Then I watched herbs sulk, tomatoes refuse to flower, and houseplants collapse weeks after repotting. The problem wasn’t mysterious—it was pot sizing. In this guide, I’ll show you the seven pot size mistakes that set plants back before you plant, plus simple fixes using only what you can buy at a garden centre or hardware store.
1. Choosing A Pot That’s Far Too Big: Roots Sit In Cold, Wet Soil

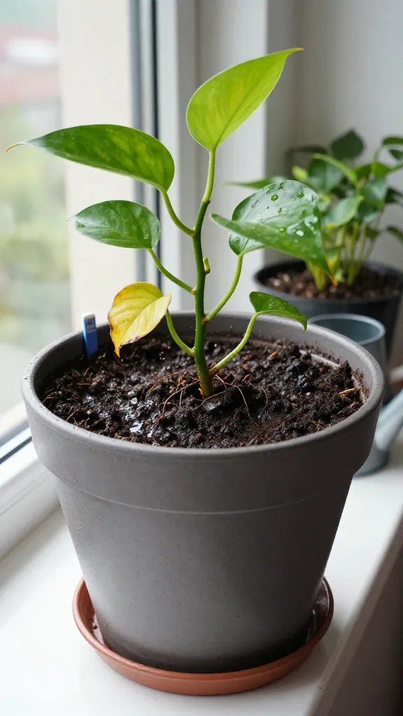
An oversized pot holds more wet mix than the plant can use. Roots stall, rot sets in, and the plant sits stressed for months instead of growing. This is why many people lose new houseplants right after “upgrading” to a decorative tub.
Signs To Watch For
- Mushy lower leaves within 2–4 weeks of repotting
- Soil stays wet for 7+ days even in warm rooms
- Fungus gnats hovering over the pot surface
How To Fix It
- Step up only 1–2 inches wider than the current pot (for small houseplants) or one size up at the garden centre.
- Use a good quality potting mix and pack lightly—do not tamp hard.
- Water once, then let the top inch dry before watering again.
What To Use Instead
- Herbs and small houseplants: 10–15 cm (4–6 inch) pots for starters
- Medium indoor plants: move from 15 cm to 18–20 cm (6 to 7–8 inch)
- Tomatoes/peppers on balconies: final home 20–30 litres (5–8 gallons), don’t “park” them in a half-filled tub
Takeaway: When repotting, go up one size only—aim for 2–3 cm (about a finger’s width) of fresh soil around the root ball.
2. Sticking With A Pot That’s Too Small: Roots Choke And Starve

A tight pot strangles growth, dries out daily, and blocks nutrients from reaching leaves. Plants drop buds, yellow from the bottom up, and bounce back only after a proper move.
Signs To Watch For
- Roots circling the bottom or poking from drain holes
- Water runs straight through without soaking
- Plant wilts by late afternoon despite morning watering
How To Fix It
- Choose a new pot 2–5 cm (1–2 inches) wider than the current one.
- Loosen circling roots with your fingers; trim only the thickest coils with clean scissors.
- Top up with fresh potting mix and water thoroughly until it drips from the base.
What To Use Instead
- Snake plant, ZZ, pothos: step up every 12–18 months
- Flowering annuals in window boxes: give at least 20 cm (8 inches) depth so roots don’t bake and bind
Action today: Tip your most-thirsty plant out of its pot; if you see root spirals, repot up one size this weekend.
3. Ignoring Drainage Holes: Water Pools And Roots Rot

Pots without holes are the fastest route to root rot. Excess water has nowhere to go, soil turns sour, and the plant dies from the bottom up while the top still looks fine.
Signs To Watch For
- Soil smells sour or like a swamp
- Yellowing leaves that drop cleanly from the stem
- Water sitting at the bottom saucer for days
How To Fix It
- Use pots with at least one real hole (more for wide pots).
- If you love a decorative cover pot, keep the plant in a plastic nursery pot with holes and drop it inside. Empty the cachepot after watering.
- For ceramic pots without holes, drill with a masonry bit at low speed; for plastic, use a standard drill bit. Wear eye protection.
What To Use Instead
- Nursery pot + ceramic cover combo for looks and function
- Terracotta for plants that hate soggy roots (herbs, succulents)
Takeaway: If a pot has no hole, treat it as a decorative sleeve—never plant directly into it.
4. Planting Deep In A Tall, Narrow Pot: Air Starves The Root Zone

Tall vases and chimney-style planters keep the root ball low where air exchange is poor. Water lingers at the bottom, roots suffocate, and growth stays weak even with good light.
Signs To Watch For
- Soil stays wet at the bottom while top dries in a day
- Plant leans or sinks over time as mix settles
- Stunted new leaves compared to older growth
How To Fix It
- Pick pots where height roughly matches width for most houseplants.
- Do not fill the bottom with rocks—that raises the water table and makes problems worse.
- Use a consistent good quality potting mix from rim to base for even drainage.
What To Use Instead
- Low, wide pots for shallow-rooted plants (strawberries, lettuces, succulents)
- Standard cylinder pots for most foliage plants
Action today: If your plant sits in a tall decorative tube, up-pot to a standard cylinder with a drain hole and fresh mix.
5. Mixing A Big Plant With A Shallow Pot: Top-Heavy Tips, Snapped Stems

A large canopy in a shallow pot topples easily. Wind on a balcony or a curious cat is enough to flip it, crack stems, and tear roots.
Signs To Watch For
- Pot tips when you nudge the plant
- Cracked soil surface pulling away from the rim
- Leaning stems you keep turning “back toward the window”
How To Fix It
- Choose a pot with a wider base or heavier material like terracotta or glazed ceramic.
- Sink a short bamboo stake beside the main stem and tie loosely with soft twine.
- On balconies, place pots against a wall and wedge with a brick at the leeward side.
What To Use Instead
- Weighted pots or terracotta for tall annuals and small trees
- Deeper containers for fruiting veg like tomatoes and peppers
Takeaway: If a pot wobbles when you push it with two fingers, switch to a heavier, wider container before the next windy day.
6. Pairing The Wrong Plant With The Wrong Volume: Roots Outgrow Overnight

Some plants need far more root room than their leaves suggest. Put a tomato in a 10 cm pot and you get flowers that abort; cram a basil forest in a teacup and you’ll water twice a day until it keels over.
Quick Size Guide You Can Trust
- Herbs (basil, parsley, mint): 15–20 cm (6–8 inch) wide, 20 cm deep; one plant per pot. Mint prefers its own pot.
- Leafy greens (lettuce, spinach): 20 cm depth; 15–20 cm spacing per plant in a window box.
- Tomatoes (indeterminate): 30–40 litres (8–10 gallons) with a stake or cage.
- Peppers/eggplants: 15–20 litres (4–5 gallons).
- Strawberries: 15–20 cm deep, wide bowls; 3 plants per 30 cm bowl.
- Succulents: Snug pots, 1–2 cm wider than the plant’s spread; shallow is fine.
How To Fix It
- Read the tag at the garden centre and match mature size to the pot volume above.
- Plant fewer per container—one strong plant beats three weak ones.
- Add a simple tomato cage or two stakes at planting to avoid root disturbance later.
Action today: Reallocate overcrowded herbs into their own 15–20 cm pots and water deeply—watch them perk up within a week.
7. Forgetting The Sill-to-Pot Fit: Light, Heat, And Watering Go Out Of Sync

Pot size must match the spot you’ll keep it. A small dark windowsill bakes a tiny pot by midday, while a large pot tucked far from light keeps soil cold and wet, stalling growth.
Signs To Watch For
- Small pots near hot glass dry out daily, leaves crisp at the edges
- Large pots in dim corners stay wet a week, growth stays pale and soft
- Frequent flip-flop between drooping and edema (water blisters)
How To Fix It
- For bright, hot sills, use slightly larger or heavier pots (terracotta or ceramic) that buffer heat and hold moisture longer.
- For dimmer spots, choose smaller pots to prevent long wet periods and move plants to bright indirect light near a window.
- Add a matching saucer to protect surfaces, but empty it 30 minutes after watering.
What To Use Instead
- Double-potting (nursery pot inside a cover) to move plants easily between rooms for better light
- Light-coloured pots outdoors to reflect heat on hot balconies
Takeaway: Place the pot where it will live, then choose size and material to suit that light and heat—don’t size it in the aisle.
Frequently Asked Questions
How do I know the right time to repot a houseplant?
Check the bottom: if roots circle densely or grow through the holes, it’s time. Water running straight through is another sign. Most common houseplants appreciate a step up every 12–18 months. Repot in spring or early summer when growth is active so recovery is fast.
Do I need a different pot for succulents and cacti?
Yes—give them snug, shallow pots with a drain hole and use a free-draining mix from the garden centre labeled for succulents. Terracotta helps wick excess moisture. Size only 1–2 cm wider than the plant’s spread to avoid wet pockets. Water thoroughly, then wait until the mix is bone dry before watering again.
Can I put rocks in the bottom of a pot to improve drainage?
No—rocks raise the water table and make the root zone wetter, not drier. Use a pot with a real hole and a consistent potting mix from top to bottom. If you’re worried about mix escaping, cover the hole with a single mesh square or a coffee filter. Always empty the saucer after 30 minutes.
What size pot should I use for balcony tomatoes?
Go big: 30–40 litres (8–10 gallons) for indeterminate varieties and at least 20 litres (5 gallons) for compact or patio types. Add a stake or small cage at planting, not later. Use a quality vegetable potting mix and water until it drips from the bottom; in summer, expect daily watering. Place in bright sun and secure the container against wind.
Why does my plant droop after repotting, even when I chose a reasonable size?
Repotting disturbs fine roots, so the plant needs time to reestablish. Water thoroughly once, set the plant in bright indirect light near a window, and avoid fertiliser for 2–3 weeks. Keep the top inch of soil just barely moist, not soggy. In a fortnight, new growth usually resumes.
Is terracotta better than plastic for most indoor plants?
Terracotta breathes and helps prevent overwatering, great for herbs and succulents. Plastic holds moisture longer and is lighter, helpful for thirsty plants or hanging baskets. Choose based on your watering habits and the plant’s needs. If you overwater, terracotta is your friend; if you forget to water, plastic buys you time.
Conclusion
Right-sized pots remove 80% of the stress plants face before they even root in. Choose your next pot with these rules, plant once, and watch growth take off instead of stall. Ready for the next step? Set up a simple watering routine matched to pot size and light so you lock in steady growth all season.

